О порядке предоставления гражданам, имеющим трех и более детей, земельных участков в собственность бесплатно и установлении предельных размеров таких земельных участков по состоянию на 1 мая 2014 года - Администрация Котельниковского района
Вернуться к обычному виду

О порядке предоставления гражданам, имеющим трех и более детей, земельных участков в собственность бесплатно и установлении предельных размеров таких земельных участков по состоянию на 1 мая 2014 года

Версия для печати

Во исполнение Закона Волгоградской области от 16.12.2011 № 2272-ОД «О порядке предоставления гражданам, имеющим трех и более детей, земельных участков в собственность бесплатно и установлении предельных размеров таких земельных участков», администрацией Котельниковского муниципального района, выполнено ряд мероприятий.

Постановлением администрации Котельниковского муниципального района Волгоградской области от 07.09.2012 г. № 1055 утверждена формы заявления, направляемого гражданином, имеющим трех и более детей, о предоставлении земельного участка в собственность бесплатно.

Постановлением администрации Котельниковского муниципального района № 1104 от 16.10.2013г. утвержден План мероприятий («дорожной карты») по выделению бесплатно в собственность земельных участков гражданам, имеющих трех и более детей.

По состоянию на 01 мая 2014 года в Котельниковском районе зарегистрировано 435 многодетных семей, имеющих трех и более детей. Согласно обращений граждан, на учет для последующего предоставления земельных участков поставлено – 243 граждан, из них в 2012 г. – 76, в 2013 г. – 138, в 2014 г. за 4-месяца - 29.

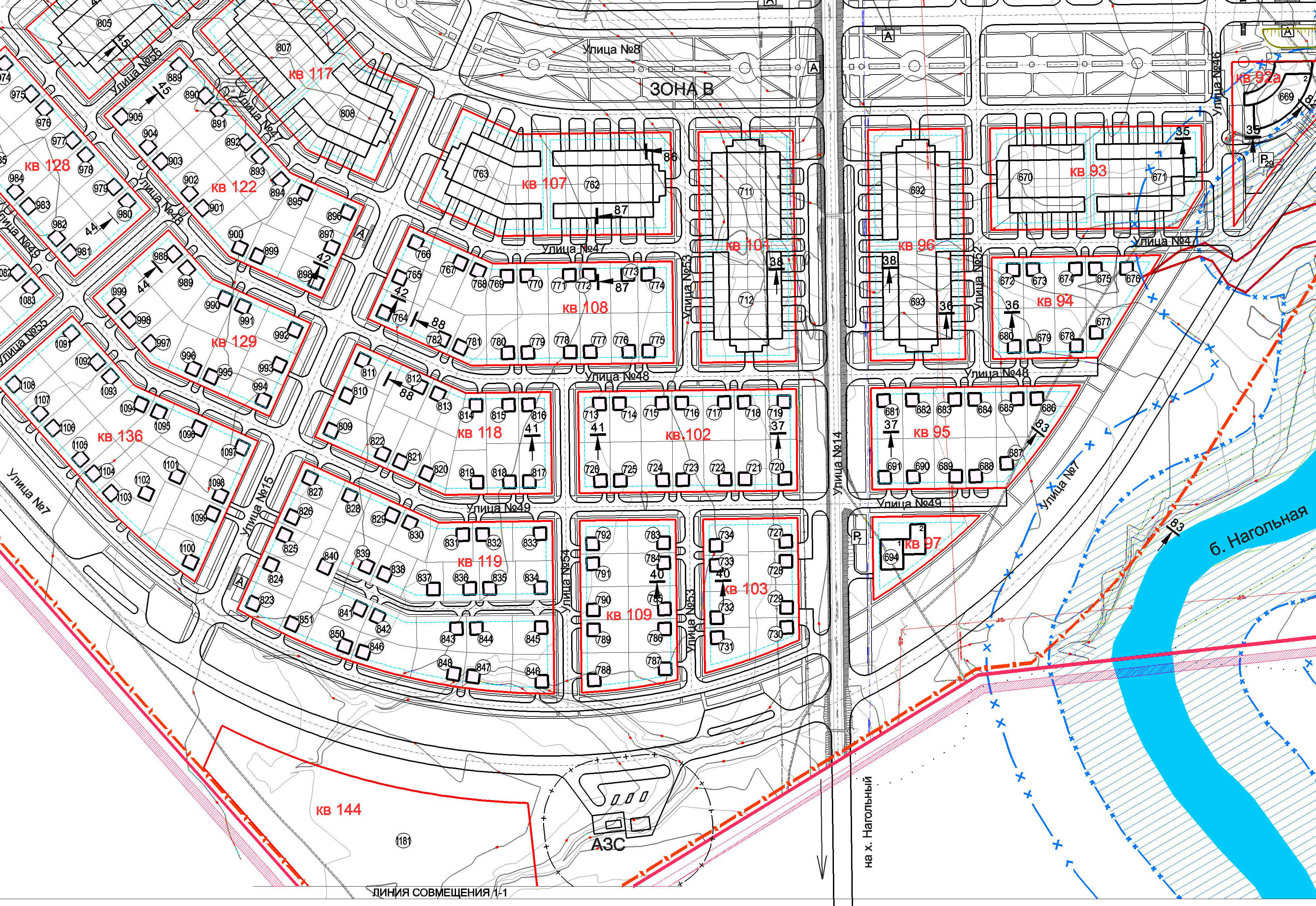
В 2012 году администрацией Котельниковского муниципального района заключен муниципальный контракт на подготовку проекта межевания территории, согласно ранее утвержденного проекта планировки жилого поселка «Дубовая роща» зона «В».

Проектом межевания определена площадь и границы земельных участков. Определено 8 кварталов, составляющие 114 участков общей площадью 116590 кв.м.(11,7га).

На сегодняшний день сформировано и поставлено на кадастровый учет – 114 земельных участка, из которых предоставлено гражданам 64 земельных участка. В 2014 году планируется еще предоставить бесплатно в собственность земельные участки 50 многодетным гражданам.

С целью полного удовлетворения потребностей земельными участкам уже поставленных на учет многодетных семей в 2014 году дополнительно требуется подготовка проекта межевания по 6-ти кварталам проекта планировки жилого поселка «Дубовая роща» зона «В» с формированием 122-х земельных участка общей площадью 13,4 га.

Потребность бюджетных средств на эти мероприятия составит ориентировочно около 1,3 млн. рублей.

Предоставление земельных участков осуществляется без обеспечения инженерными коммуникациями.

Зона «В» жилого поселка «Дубовая роща» согласно проекта планировки расположена в непосредственной близости от а/дороги с твердым покрытием г. Котельниково - х. Нагольный. Вдоль автотрассы проходит водовод Ø 530мм, снабжающий юго-восточную часть г. Котельниково водой с Наголенского водозабора, находящегося в собственности Котельниковского городского поселения. В дальнейшем на водоснабжение, водоотведение, планируется получение технических условий к существующему водоводу.

Администрацией Котельниковского муниципального района Волгоградской области направлено письмо в МУП «Водоканал» о произведении расчета стоимости затрат по водоснабжению земельных участков предоставленных многодетным семьям.

По вопросу обеспечения электроэнергий данной зоны, на имя министра топлива, энергетики и тарифного регулирования Волгоградской области, направлено письмо о включении в инвестиционную программу предприятия «Волгоградоблэлектро». Администрацией Котельниковского муниципального района направлена заявка в Волгоградоблэлектро на технологическое присоединения за счет средств предприятия, расходы ориентировочно составят 45,0 млн. руб.

В дальнейшем в Котельниковском районе обеспечение инфраструктурой земельных участков, предоставляемых гражданам, имеющим 3-х и более детей, планируется решать в рамках областной программы комплексного освоения территории (подпрограмма Жилище), инвестиционных и производственных программ, снабжающих организаций («Волгоградоблэлектро», МУП «Водоканал»).

Расчётная потребность для обеспечения земельными участками 435 граждан указанной категории составляет ориентировочно 54 га.

С учетом имеющейся ПСД по строительству инженерных коммуникаций I очереди п. Дубовая Роща зона «А», ориентировочная расчетная потребность финансирования проектных работ и строительство инженерных сетей составит:

- изготовление ПСД 14,0 млн.руб.

- строительство инженерных сетей 450 млн.руб.

Проект планировки территорий малоэтажной застройки жилого района «Дубовая роща» и «Дубовая роща-2» в г.Котельниково Волгоградской области

Проект планировки территорий малоэтажной застройки жилого района «Дубовая роща» и «Дубовая роща-2» в г.Котельниково Волгоградской области


(нажмите на изображении, чтобы рассмотреть в увеличенном виде)